Постановление Правительства Брянской области от 13.08.2018 № 415-п
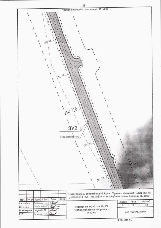
"Об утверждении документации по внесению изменений в проект межевания территории "Выполнение работ по разработке проекта планировки и проекта межевания территории земельных участков для размещения объекта реконструкции автомобильной дороги "Брянск — Новозыбков" - Стародуб на участке км 8+200 - км 20+550 в Стародубском районе Брянской области"
"Об утверждении документации по внесению изменений в проект межевания территории "Выполнение работ по разработке проекта планировки и проекта межевания территории земельных участков для размещения объекта реконструкции автомобильной дороги "Брянск — Новозыбков" - Стародуб на участке км 8+200 - км 20+550 в Стародубском районе Брянской области"
Номер опубликования: 3200201808170012
Дата опубликования:
17.08.2018
