Официальное опубликование правовых актов
ОФИЦИАЛЬНОЕ ОПУБЛИКОВАНИЕ
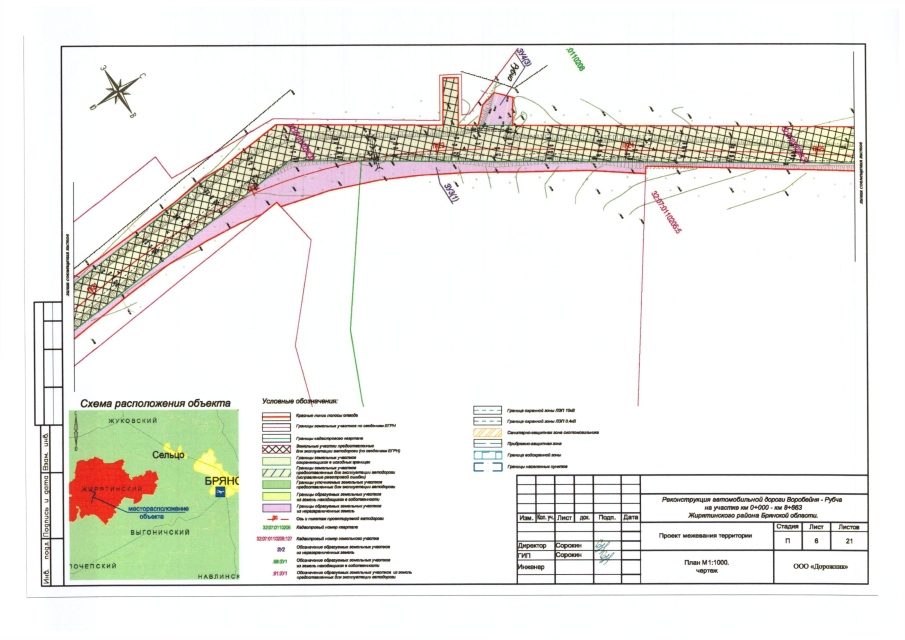
Постановление Правительства Брянской области от 18.06.2018 № 307-п
"Об утверждении проекта планировки и межевания территории "Реконструкция автомобильной дороги Воробейня — Рубча на участке км 0+000 — км 8+630 Жирятинского района Брянской области"
Номер опубликования: 3200201806220024
Дата опубликования: 22.06.2018
Страница №132 из 147:
Увеличить