Приказ Управления государственной охраны объектов культурного наследия Белгородской области от 20.01.2026 № 30-24/08
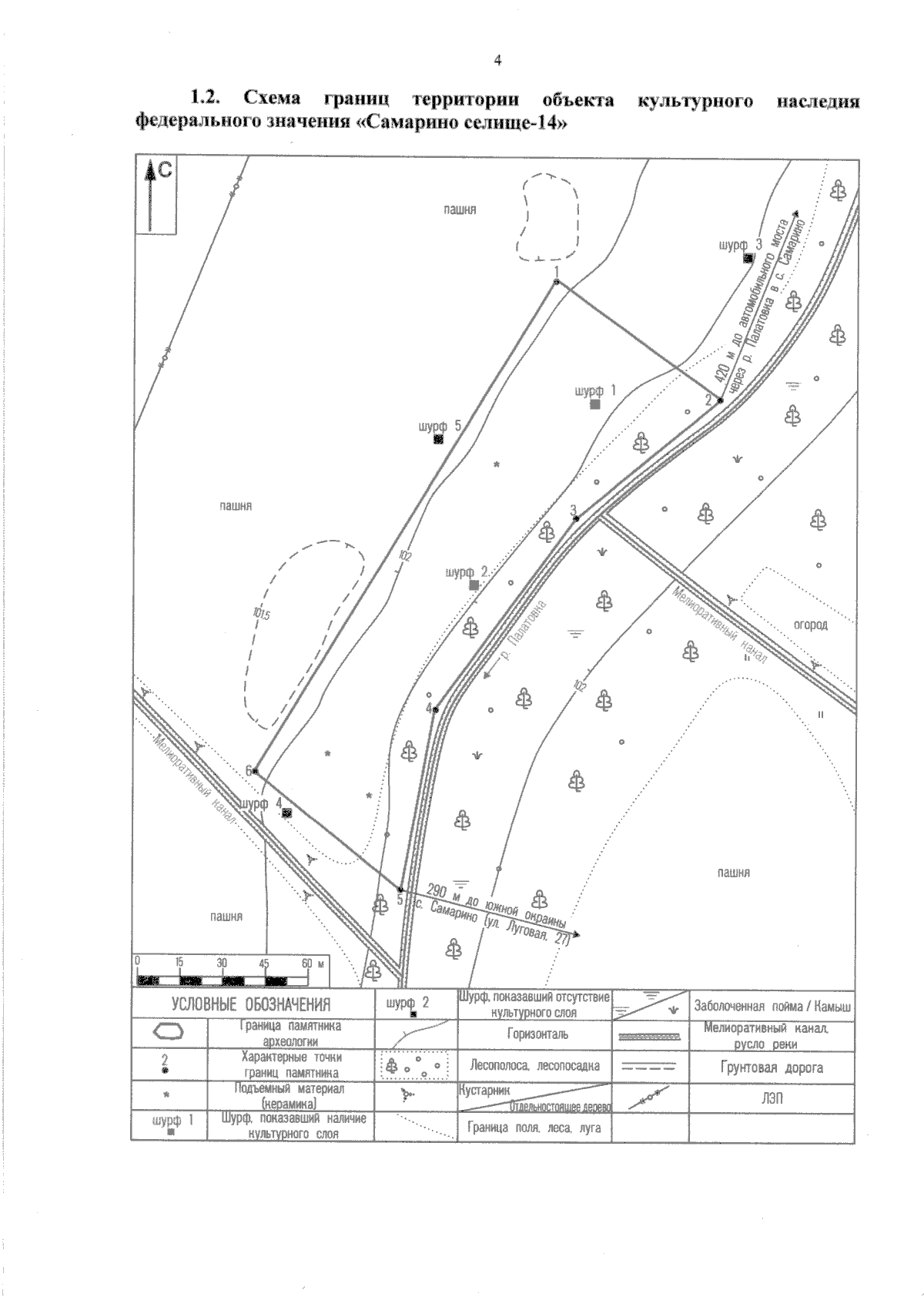
"Об утверждении границ территории объекта культурного наследия федерального значения "Самарино селище-14"
(Зарегистрирован 22.01.2026 № 39)
"Об утверждении границ территории объекта культурного наследия федерального значения "Самарино селище-14"
(Зарегистрирован 22.01.2026 № 39)
Номер опубликования: 3101202601280005
Дата опубликования:
28.01.2026
