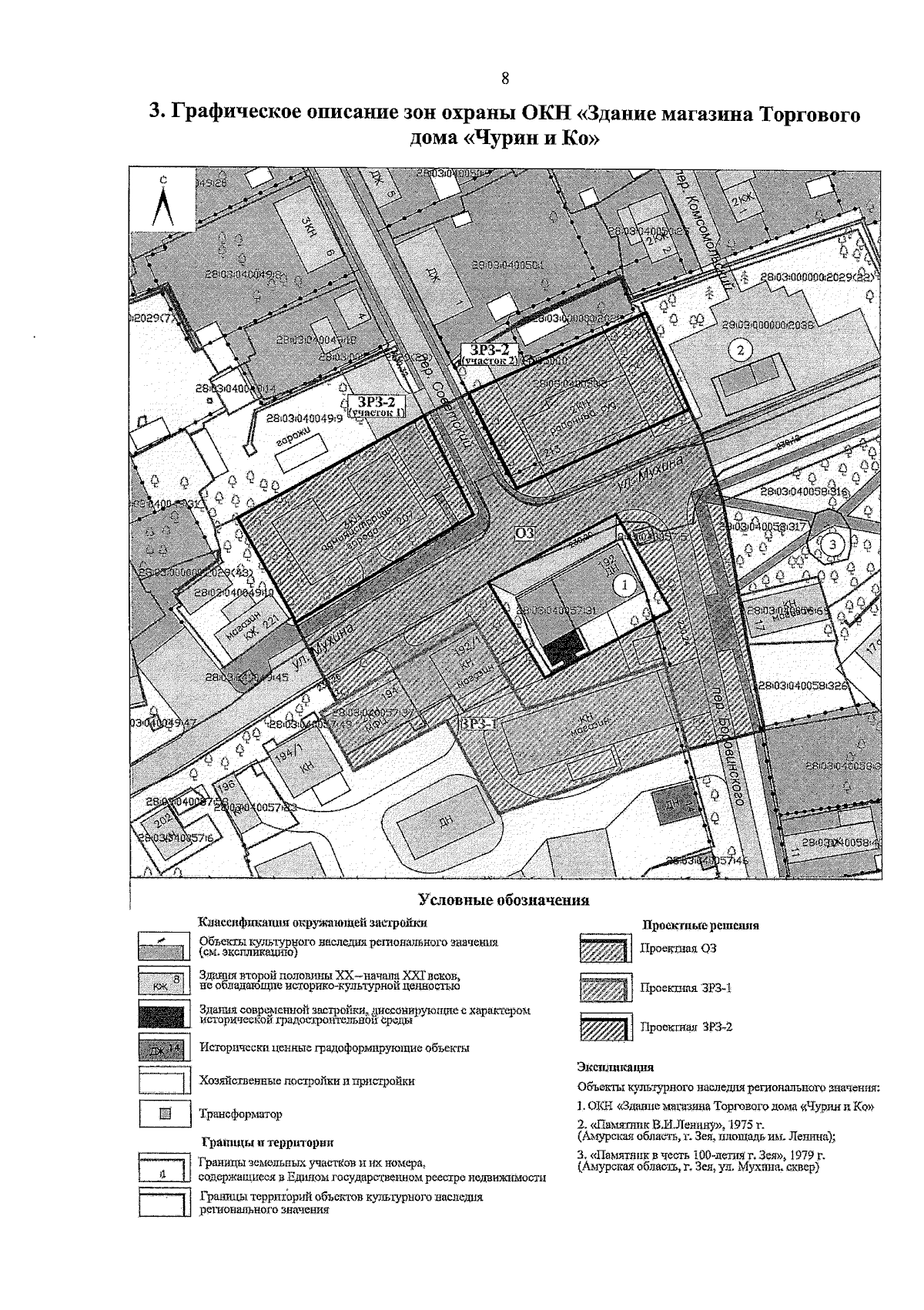
Постановление Правительства Амурской области от 29.04.2025 № 342
"Об установлении зон охраны объекта культурного наследия регионального значения "Здание магазина Торгового дома "Чурин и Ко", 1906 или 1909 год (Амурская область, г. Зея ул. Мухина, 192) и утверждении требований к градостроительным регламентам в границах территорий данных зон"
"Об установлении зон охраны объекта культурного наследия регионального значения "Здание магазина Торгового дома "Чурин и Ко", 1906 или 1909 год (Амурская область, г. Зея ул. Мухина, 192) и утверждении требований к градостроительным регламентам в границах территорий данных зон"
Номер опубликования: 2800202504300015
Дата опубликования:
30.04.2025
