Официальное опубликование правовых актов
ОФИЦИАЛЬНОЕ ОПУБЛИКОВАНИЕ
Постановление Правительства Амурской области от 24.03.2025 № 220
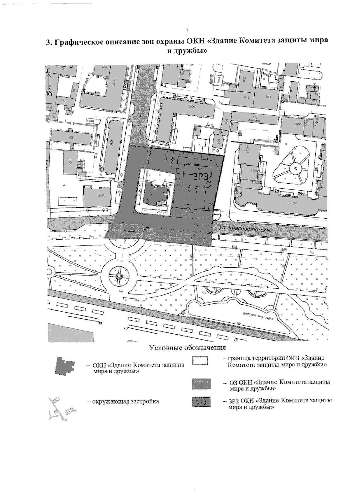
"Об установлении зон охраны объекта культурного наследия регионального значения "Здание Комитета защиты мира и дружбы", 1906 г. (Амурская область, г. Благовещенск, ул. Краснофлотская, 131) и утверждении требований к градостроительным регламентам в границах территорий данных зон"
Номер опубликования: 2800202503280001
Дата опубликования: 28.03.2025
Страница №8 из 8:
Увеличить