Приказ администрации Краснодарского края от 30.10.2025 № 1401-КН
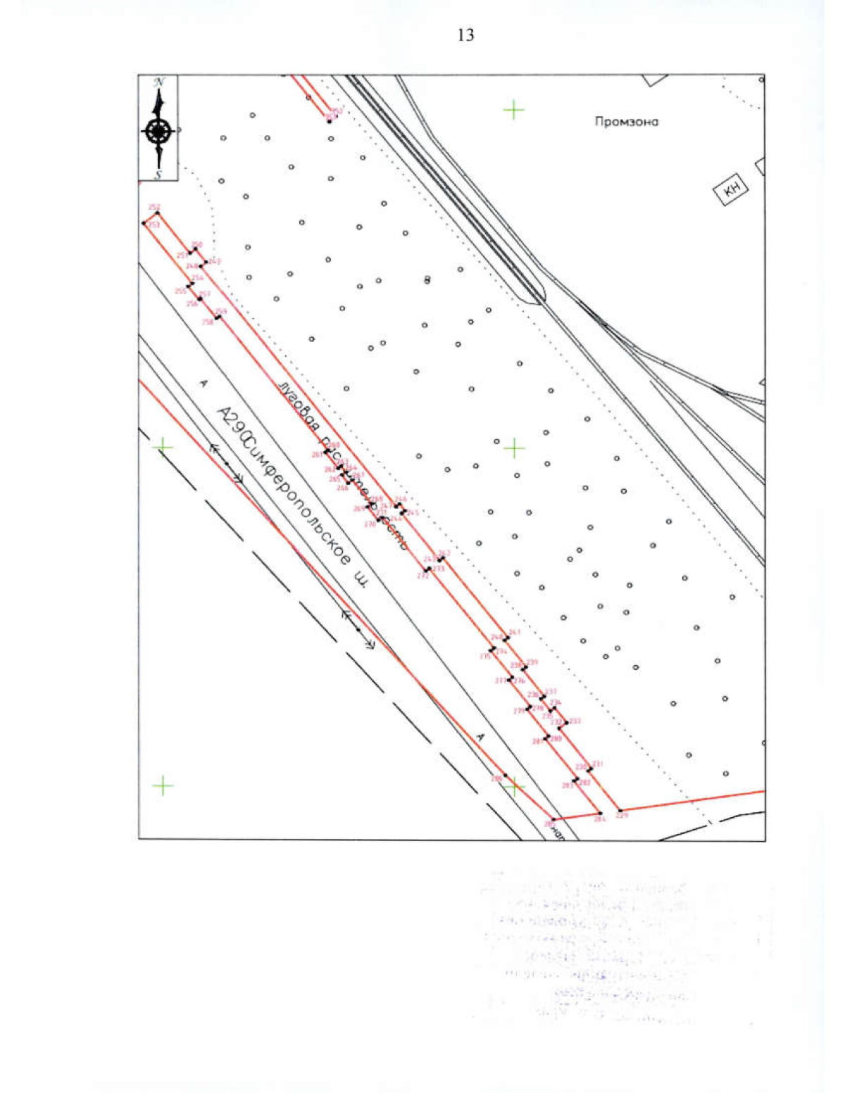
"О внесении изменений в приказ администрации Краснодарского края от 07.07.2022 № 536-кн "Об утверждении границ и режима использования территории выявленного объекта культурного наследия "Усадьба", Краснодарский край, город-курорт Анапа, х. Воскресенский, юго-западная окраина хутора"
"О внесении изменений в приказ администрации Краснодарского края от 07.07.2022 № 536-кн "Об утверждении границ и режима использования территории выявленного объекта культурного наследия "Усадьба", Краснодарский край, город-курорт Анапа, х. Воскресенский, юго-западная окраина хутора"
Номер опубликования: 2301202510310004
Дата опубликования:
31.10.2025
