Официальное опубликование правовых актов
ОФИЦИАЛЬНОЕ ОПУБЛИКОВАНИЕ
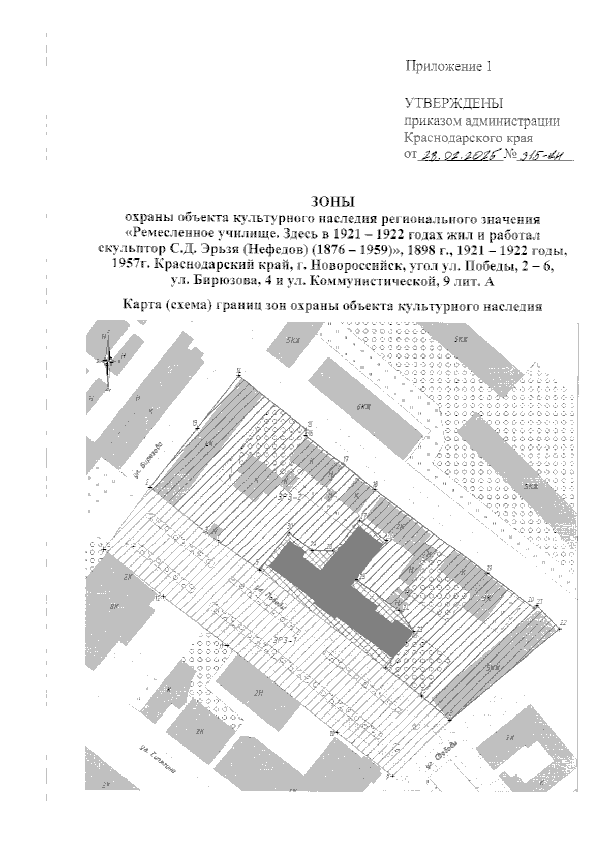
Приказ администрации Краснодарского края от 28.02.2025 № 315-КН
"Об установлении зон охраны, утверждении режимов использования земель и требований к градостроительным регламентам в границах территорий данных зон объекта культурного наследия регионального значения "Ремесленное училище. Здесь в 1921 – 1922 годах жил и работал скульптор С.Д. Эрьзя (Нефедов) (1876 – 1959)", 1898 г., 1921 – 1922 годы, 1957г. Краснодарский край, г. Новороссийск, угол ул. Победы, 2 – 6, ул. Бирюзова, 4 и ул. Коммунистической, 9 лит. А"
Номер опубликования: 2301202503070023
Дата опубликования: 07.03.2025
Страница №3 из 10:
Увеличить