Приказ администрации Краснодарского края от 06.08.2024 № 815-КН
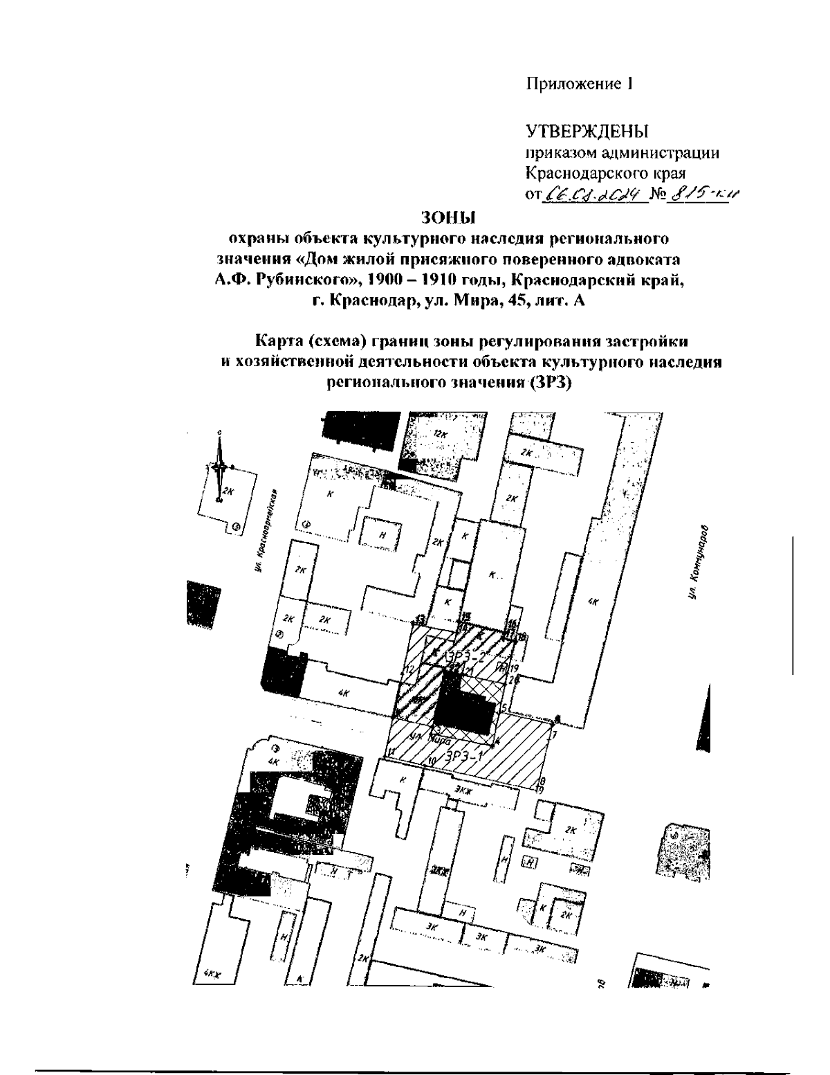
"Об установлении зон охраны, утверждении режимов использования земель и требований к градостроительным регламентам в границах территорий данных зон объекта культурного наследия регионального значения "Дом жилой присяжного поверенного адвоката А.Ф. Рубинского", 1900 — 1910 годы, Краснодарский край, г. Краснодар, ул. Мира, 45, лит. А"
"Об установлении зон охраны, утверждении режимов использования земель и требований к градостроительным регламентам в границах территорий данных зон объекта культурного наследия регионального значения "Дом жилой присяжного поверенного адвоката А.Ф. Рубинского", 1900 — 1910 годы, Краснодарский край, г. Краснодар, ул. Мира, 45, лит. А"
Номер опубликования: 2301202408140007
Дата опубликования:
14.08.2024
