Официальное опубликование правовых актов
ОФИЦИАЛЬНОЕ ОПУБЛИКОВАНИЕ
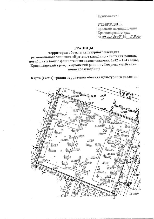
Приказ администрации Краснодарского края от 09.04.2019 № 58-КН
"Об утверждении границ и режимов использования территорий объектов культурного наследия регионального значения "Братское кладбище советских воинов, погибших в боях фашистскими захватчиками", 1942 - 1943 годы, Краснодарский край, Темрюкский район, г. Темрюк, ул. Бувина, воинское кладбище; "Могила В. Русланова, летчика, лейтенанта, погибшего в бою с фашистскими захватчиками", 1942 г., Темрюкский район, г. Темрюк, воинское кладбище; "Братская могила советских воинов, погибших в боях с фашистскими захватчиками", 1942 -1943 годы, Краснодарский край, Темрюкский район, г. Темрюк, воинское кладбище; "Братская могила 102 советских воинов, погибших в боях с фашистскими захватчиками", 1942 - 1943 годы, Краснодарский край, Темрюкский район, г. Темрюк, воинское кладбище"
Номер опубликования: 2301201904160002
Дата опубликования: 16.04.2019
Страница №4 из 19:
Увеличить