Постановление Правительства Чеченской Республики от 06.11.2018 № 245
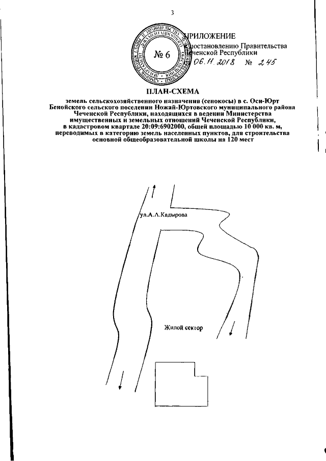
"О переводе земель из одной категории в другую в Ножай-Юртовском муниципальном районе Чеченской Республики"
"О переводе земель из одной категории в другую в Ножай-Юртовском муниципальном районе Чеченской Республики"
Номер опубликования: 2000201811090002
Дата опубликования:
09.11.2018
