Официальное опубликование правовых актов
ОФИЦИАЛЬНОЕ ОПУБЛИКОВАНИЕ
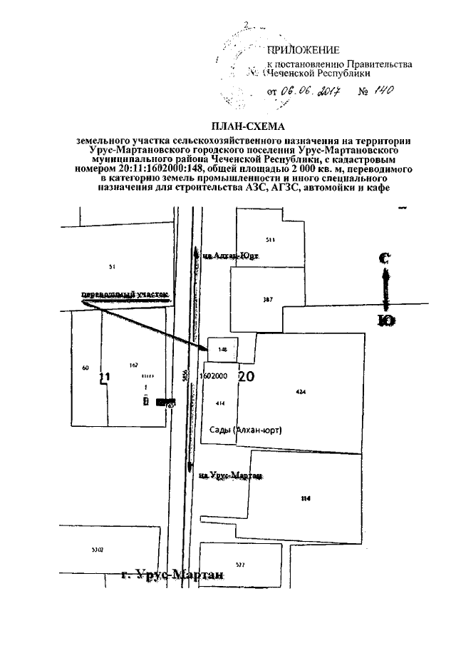
Постановление Правительства Чеченской Республики от 06.06.2017 № 140
"О переводе земельного участка сельскохозяйственного назначении в Урус-Мартановском муниципальном районе Чеченской Республики в категорию земель промышленности и иного специального назначения"
Номер опубликования: 2000201706090012
Дата опубликования: 09.06.2017
Страница №2 из 2:
Увеличить