Постановление Правительства Республики Хакасия от 27.09.2017 № 498
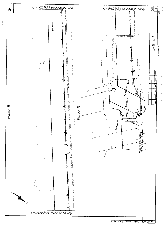
"Об утверждении проекта планировки и проекта межевания территории линейного объекта "Строительство освещения, тротуаров и автобусных остановок на участке км 6+890-км 13+901 автомобильной дороги Абакан – Ак-Довурак в границах г. Абакана Республики Хакасия"
"Об утверждении проекта планировки и проекта межевания территории линейного объекта "Строительство освещения, тротуаров и автобусных остановок на участке км 6+890-км 13+901 автомобильной дороги Абакан – Ак-Довурак в границах г. Абакана Республики Хакасия"
Номер опубликования: 1900201709280002
Дата опубликования:
28.09.2017
