Официальное опубликование правовых актов
ОФИЦИАЛЬНОЕ ОПУБЛИКОВАНИЕ
Постановление Правительства Удмуртской Республики от 03.03.2025 № 100
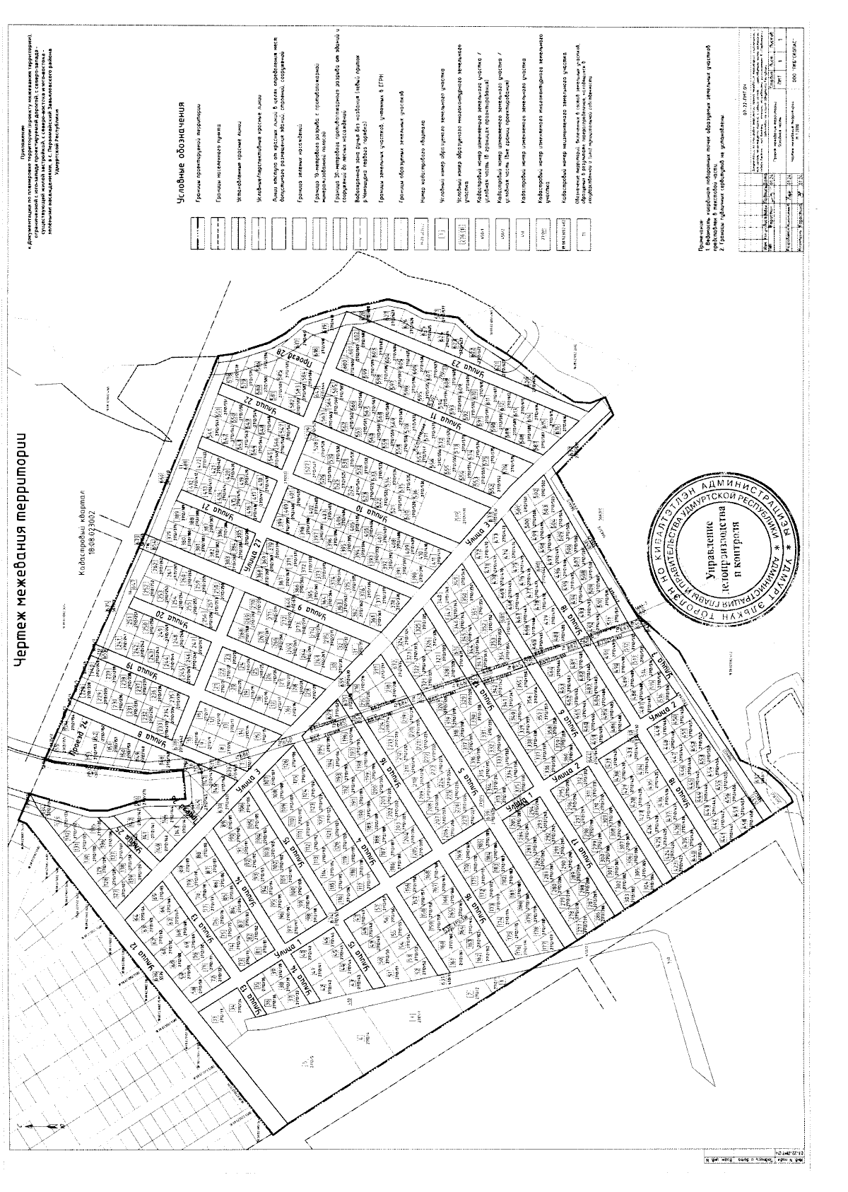
"Об утверждении Документации по планировке территории (проекта межевания территории), ограниченной с юго-запада проектируемой дорогой, с северо-запада – существующей жилой застройкой, с северо-востока и юго-востока – зелеными насаждениями, расположенной в с. Первомайский Завьяловского района Удмуртской Республики"
Номер опубликования: 1800202503080014
Дата опубликования: 08.03.2025
Страница №72 из 72:
Увеличить