Официальное опубликование правовых актов
ОФИЦИАЛЬНОЕ ОПУБЛИКОВАНИЕ
Постановление Правительства Удмуртской Республики от 03.02.2023 № 62
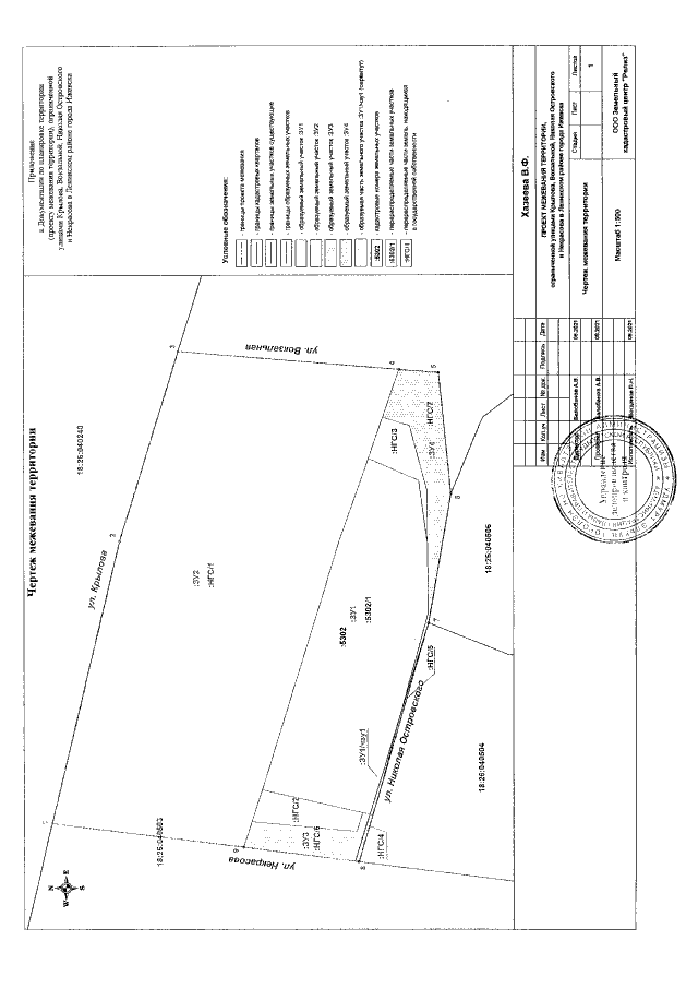
"Об утверждении Документации по планировке территории (проекта межевания территории), ограниченной улицами Крылова, Вокзальной, Николая Островского и Некрасова в Ленинском районе города Ижевска"
Номер опубликования: 1800202302080004
Дата опубликования: 08.02.2023
Страница №7 из 7:
Увеличить