Официальное опубликование правовых актов
ОФИЦИАЛЬНОЕ ОПУБЛИКОВАНИЕ
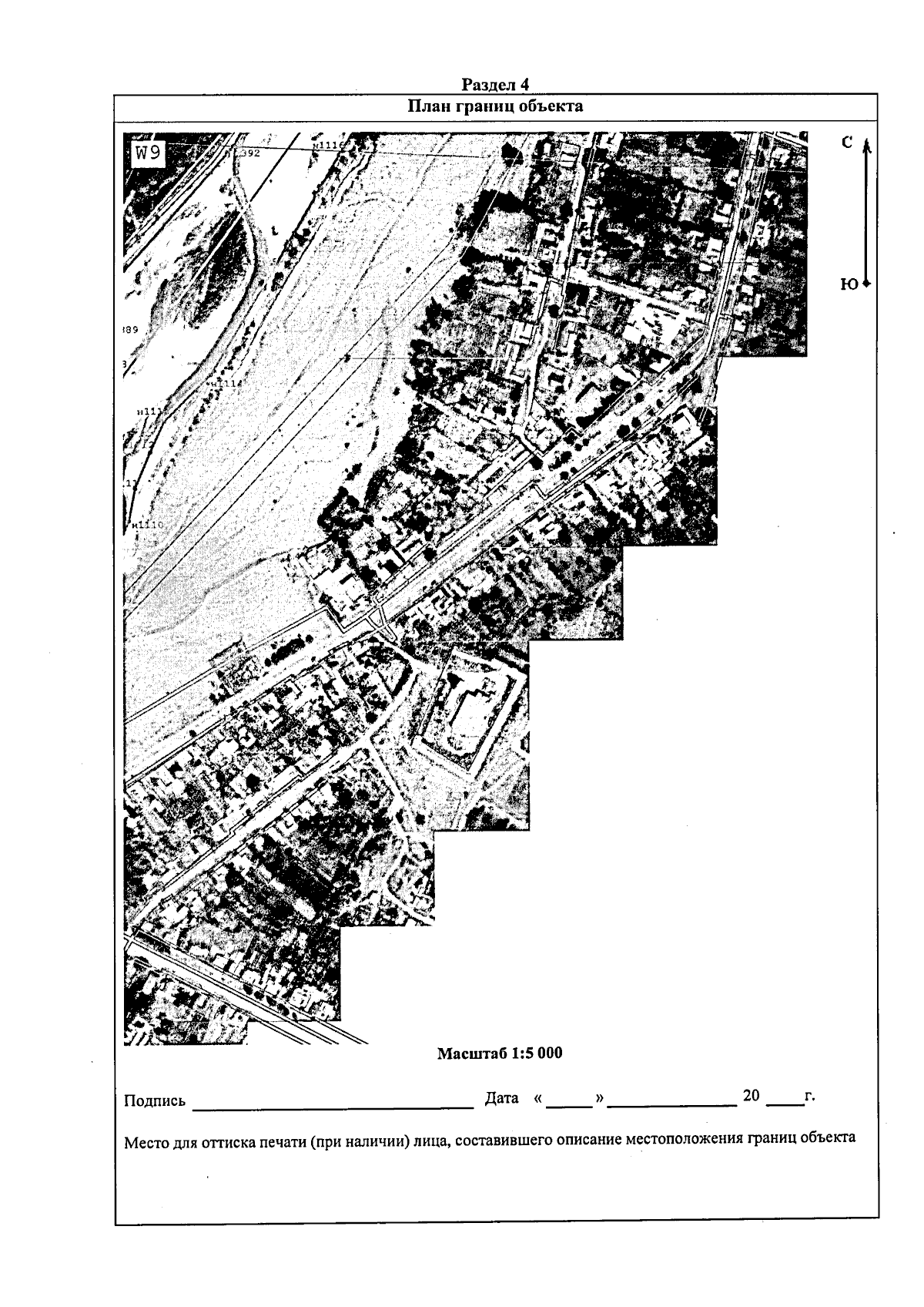
Приказ Министерства природных ресурсов и экологии Республики Северная Осетия-Алания от 10.10.2024 № 355
"Об утверждении местоположения береговой линии (границы водного объекта)"
(Зарегистрирован 14.10.2024 № 0290-24-1)
Номер опубликования: 1501202410180003
Дата опубликования: 18.10.2024
Страница №64 из 75:
Увеличить