Официальное опубликование правовых актов
ОФИЦИАЛЬНОЕ ОПУБЛИКОВАНИЕ
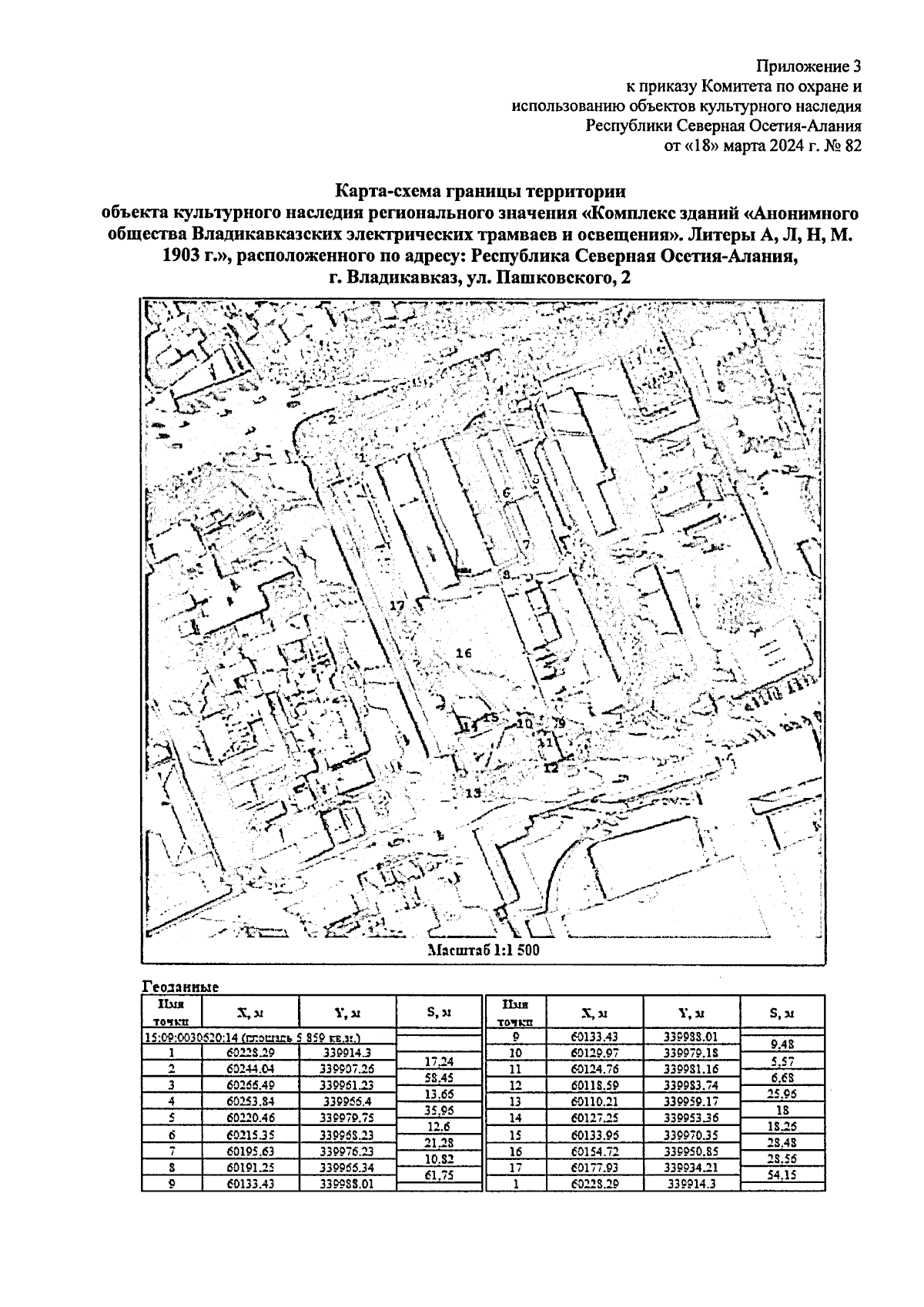
Приказ Комитета по охране и использованию объектов культурного наследия Республики Северная Осетия-Алания от 18.03.2024 № 82
"Об утверждении границы территории объекта культурного наследия регионального значения "Комплекс зданий "Анонимного общества Владикавказских электрических трамваев и освещения". Литеры А, Л, Н, М. 1903 г.", расположенного по адресу: Республика Северная Осетия-Алания, г. Владикавказ, ул. Пашковского, 2"
(Зарегистрирован 22.03.2024 № 0058-24-2)
Номер опубликования: 1501202403280005
Дата опубликования: 28.03.2024
Страница №4 из 4:
Увеличить