Приказ Комитета по охране и использованию объектов культурного наследия Республики Северная Осетия-Алания от 17.07.2023 № 161
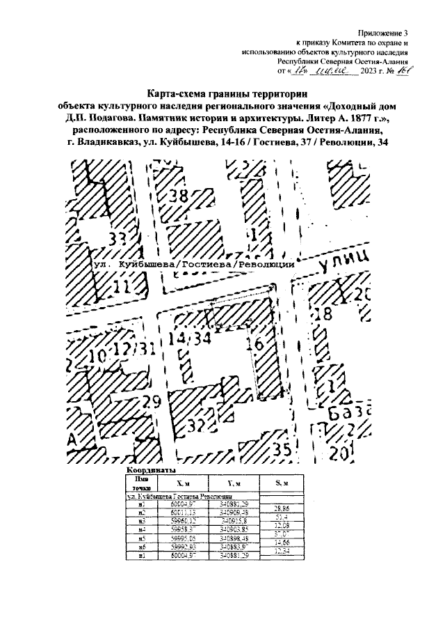
"Об утверждении границы территории объекта культурного наследия регионального значения "Доходный дом Д.П.Подагова. Памятник истории и архитектуры. Литер А. 1877 г.", расположенного по адресу: Республика Северная Осетия-Алания, г. Владикавказ, ул. Куйбышева, 14-16 / Гостиева, 37 / Революции, 34"
(Зарегистрирован 20.07.2023 № 0233-23-2)
"Об утверждении границы территории объекта культурного наследия регионального значения "Доходный дом Д.П.Подагова. Памятник истории и архитектуры. Литер А. 1877 г.", расположенного по адресу: Республика Северная Осетия-Алания, г. Владикавказ, ул. Куйбышева, 14-16 / Гостиева, 37 / Революции, 34"
(Зарегистрирован 20.07.2023 № 0233-23-2)
Номер опубликования: 1501202307210003
Дата опубликования:
21.07.2023
