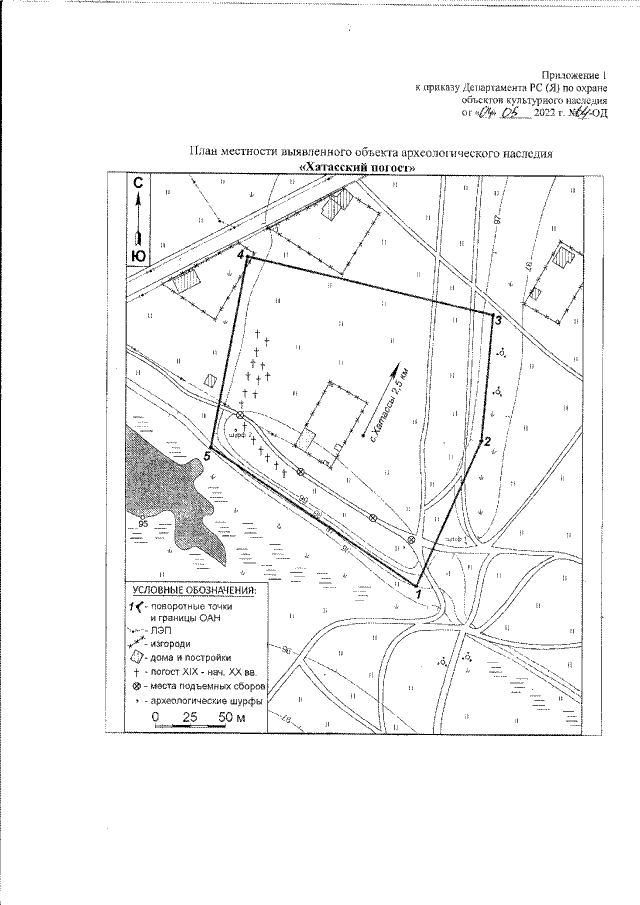
Приказ Департамента Республики Саха (Якутия) по охране объектов культурного наследия от 04.05.2022 № 64-ОД
"Об утверждении границ территории выявленного объекта археологического наследия "Хатасский погост"
(Зарегистрирован 18.05.2022 № RU140142022750)
"Об утверждении границ территории выявленного объекта археологического наследия "Хатасский погост"
(Зарегистрирован 18.05.2022 № RU140142022750)
Номер опубликования: 1401202205200007
Дата опубликования:
20.05.2022
