Приказ Департамента Республики Саха (Якутия) по охране объектов культурного наследия от 23.11.2020 № 103-ОД
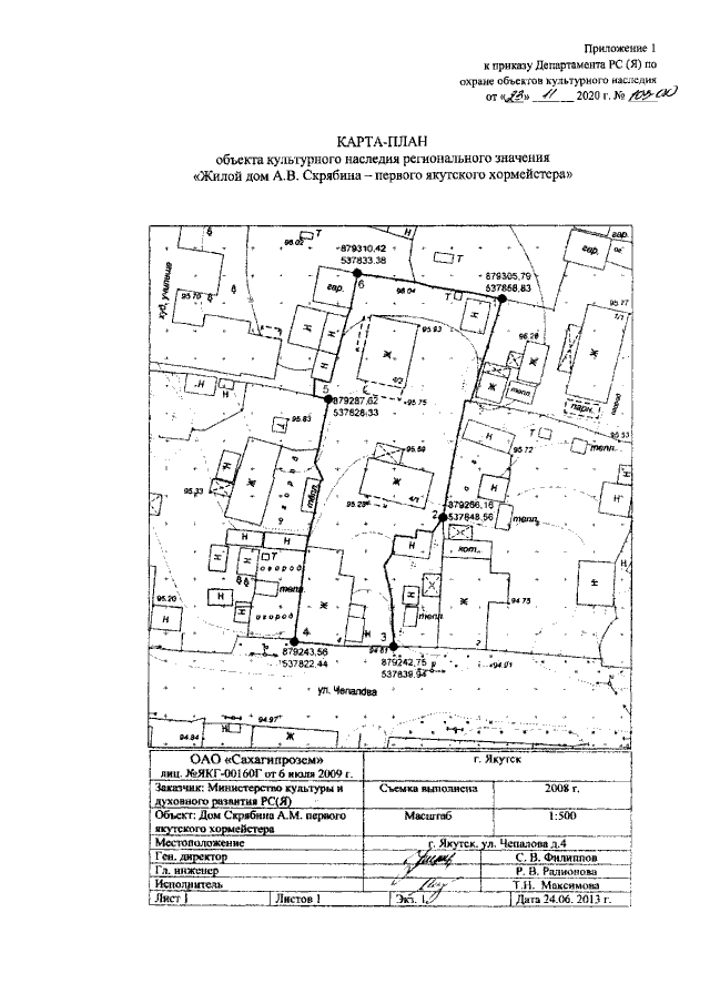
"Об утверждении границ территории объекта культурного наследия регионального значения "Жилой дом А.В. Скрябина - первого якутского хормейстера", расположенного по адресу: Республика Саха (Якутия), г. Якутск, ул. Чепалова, 4"
(Зарегистрирован 07.12.2020 № RU140142020546)
"Об утверждении границ территории объекта культурного наследия регионального значения "Жилой дом А.В. Скрябина - первого якутского хормейстера", расположенного по адресу: Республика Саха (Якутия), г. Якутск, ул. Чепалова, 4"
(Зарегистрирован 07.12.2020 № RU140142020546)
Номер опубликования: 1401202012070009
Дата опубликования:
07.12.2020
