Официальное опубликование правовых актов
ОФИЦИАЛЬНОЕ ОПУБЛИКОВАНИЕ
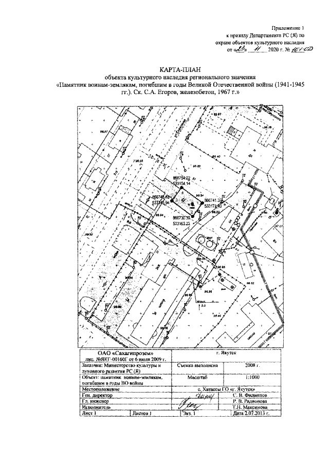
Приказ Департамента Республики Саха (Якутия) по охране объектов культурного наследия от 23.11.2020 № 101-ОД
"Об утверждении границ территории объекта культурного наследия регионального значения "Памятник воинам-землякам, погибшим в годы Великой Отечественной войны (1941-1945 гг.). Ск. С.А. Егоров, железобетон, 1967 г.", расположенного по адресу: Республика Саха (Якутия), г. Якутск, с. Хатассы, ул. Совхозная, coop. 31П"
(Зарегистрирован 07.12.2020 № RU140142020541)
Номер опубликования: 1401202012070002
Дата опубликования: 07.12.2020
Страница №2 из 10:
Увеличить