Приказ Департамента Республики Саха (Якутия) по охране объектов культурного наследия от 25.11.2019 № 309-ОД
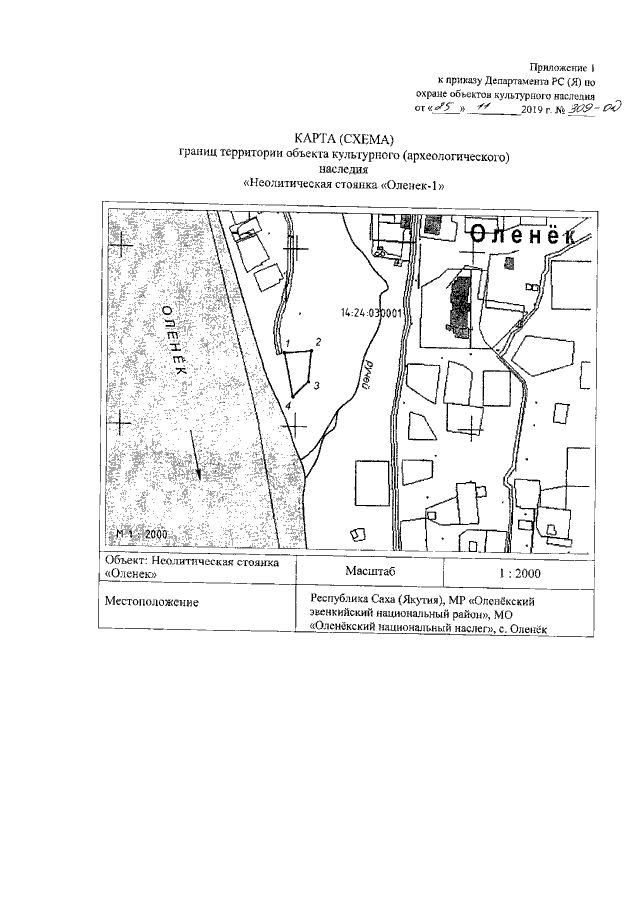
"Об утверждении границ территории объекта культурного (археологического) наследия "Неолитическая стоянка "Оленек-1"
(Зарегистрирован 10.12.2019 № RU140142019910)
"Об утверждении границ территории объекта культурного (археологического) наследия "Неолитическая стоянка "Оленек-1"
(Зарегистрирован 10.12.2019 № RU140142019910)
Номер опубликования: 1401201912110005
Дата опубликования:
11.12.2019
