Официальное опубликование правовых актов
ОФИЦИАЛЬНОЕ ОПУБЛИКОВАНИЕ
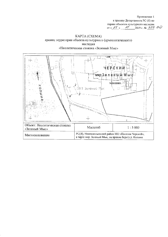
Приказ Департамента Республики Саха (Якутия) по охране объектов культурного наследия от 25.11.2019 № 303-ОД
"Об утверждении границ территории объекта культурного наследия регионального значения "Неолитическая стоянка "Зеленый мыс"
(Зарегистрирован 09.12.2019 № RU140142019886)
Номер опубликования: 1401201912110002
Дата опубликования: 11.12.2019
Страница №2 из 12:
Увеличить