Приказ Министерства культуры, национальной политики и архивного дела Республики Мордовия от 09.11.2021 № 354
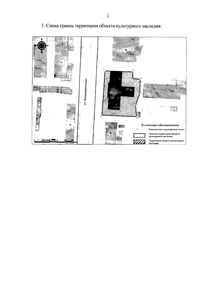
"Об утверждении границ территории и режимов использования земель в границах территории объекта культурного наследия регионального значения "Здание республиканской детской библиотеки"
"Об утверждении границ территории и режимов использования земель в границах территории объекта культурного наследия регионального значения "Здание республиканской детской библиотеки"
Номер опубликования: 1301202111110001
Дата опубликования:
11.11.2021
