Официальное опубликование правовых актов
ОФИЦИАЛЬНОЕ ОПУБЛИКОВАНИЕ
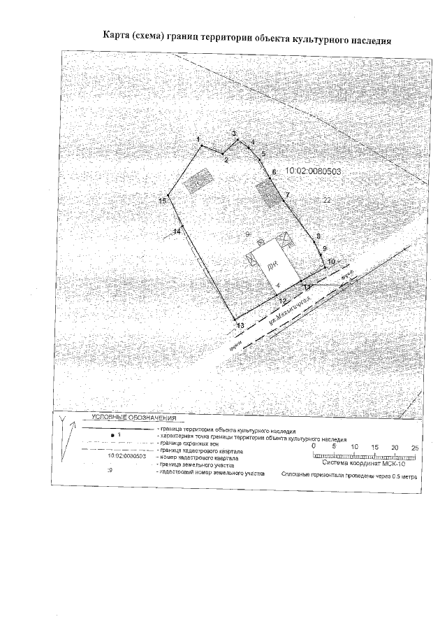
Приказ Управления по охране объектов культурного наследия Республики Карелия от 17.05.2021 № 330
"Об утверждении границ территории объекта культурного наследия регионального значения "Дом жилой Даниловой", 1922–1925 гг., расположенного по адресу: Республика Карелия, Кемский район, г. Кемь, ул. Мельничная, д. 4"
Номер опубликования: 1001202105200028
Дата опубликования: 20.05.2021
Страница №5 из 5:
Увеличить