Официальное опубликование правовых актов
ОФИЦИАЛЬНОЕ ОПУБЛИКОВАНИЕ
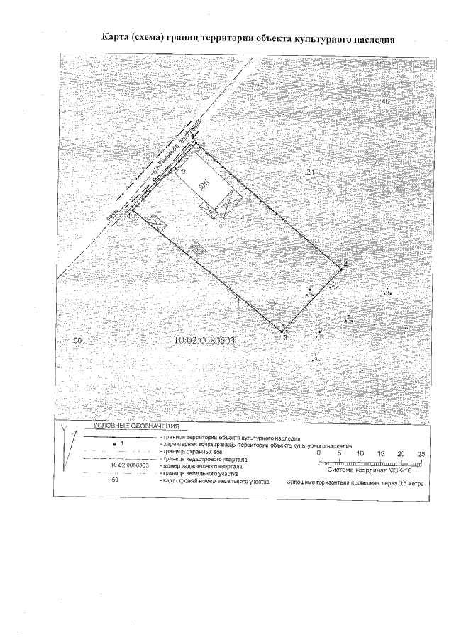
Приказ Управления по охране объектов культурного наследия Республики Карелия от 17.05.2021 № 328
"Об утверждении границ территории объекта культурного наследия регионального значения "Дом жилой Нисваволь Е.В.", 1930 г., расположенного по адресу: Республика Карелия, Кемский район, г. Кемь, ул. Большой Пудас, д. 12"
Номер опубликования: 1001202105200026
Дата опубликования: 20.05.2021
Страница №4 из 4:
Увеличить