Приказ Управления по охране объектов культурного наследия Республики Карелия от 17.05.2021 № 324
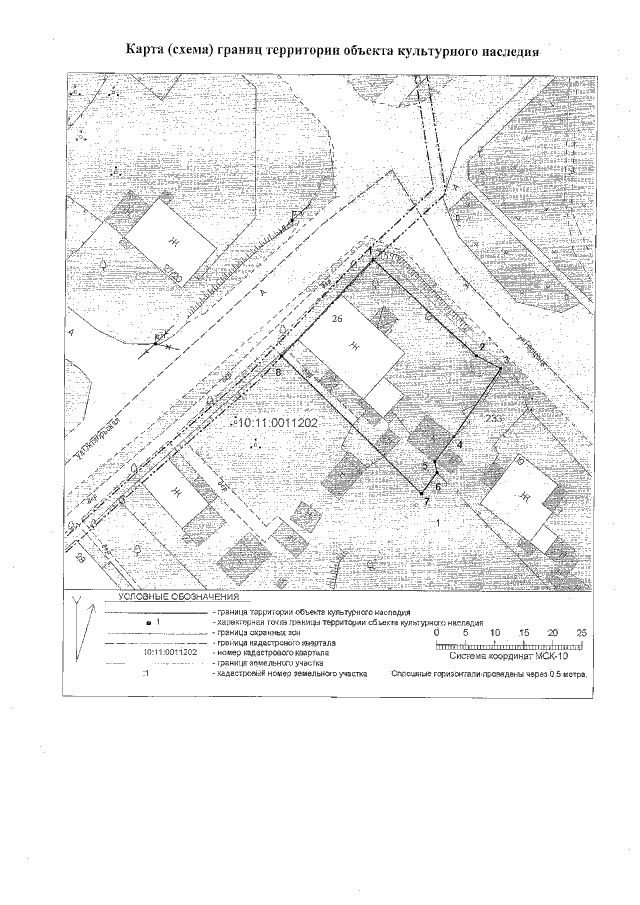
"Об утверждении границ территории объекта культурного наследия регионального значения "Здание, где в 1941–1944 гг. размещался штаб партизанского движения Карельского фронта", расположенного по адресу: Республика Карелия, Беломорский район, г. Беломорск, ул. Октябрьская, д. 26"
"Об утверждении границ территории объекта культурного наследия регионального значения "Здание, где в 1941–1944 гг. размещался штаб партизанского движения Карельского фронта", расположенного по адресу: Республика Карелия, Беломорский район, г. Беломорск, ул. Октябрьская, д. 26"
Номер опубликования: 1001202105200025
Дата опубликования:
20.05.2021
