Официальное опубликование правовых актов
ОФИЦИАЛЬНОЕ ОПУБЛИКОВАНИЕ
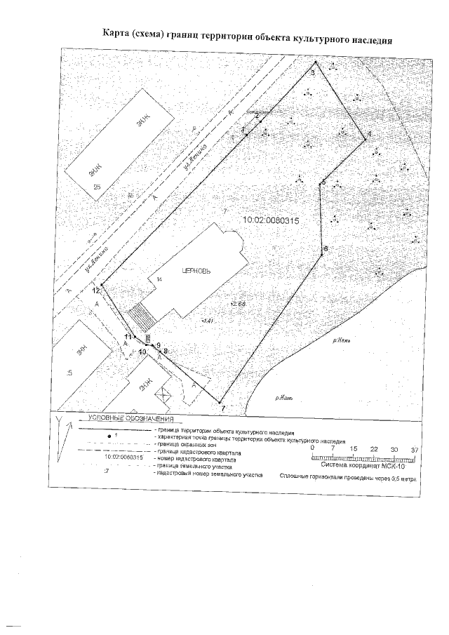
Приказ Управления по охране объектов культурного наследия Республики Карелия от 17.05.2021 № 325
"Об утверждении границ территории объекта культурного наследия регионального значения "Собор Благовещенский", 1882–1904 гг., расположенного по адресу: Республика Карелия, Кемский район, г. Кемь, ул. Ленина, д. 14"
Номер опубликования: 1001202105200024
Дата опубликования: 20.05.2021
Страница №4 из 4:
Увеличить