Приказ Управления по охране объектов культурного наследия Республики Карелия от 17.05.2021 № 329
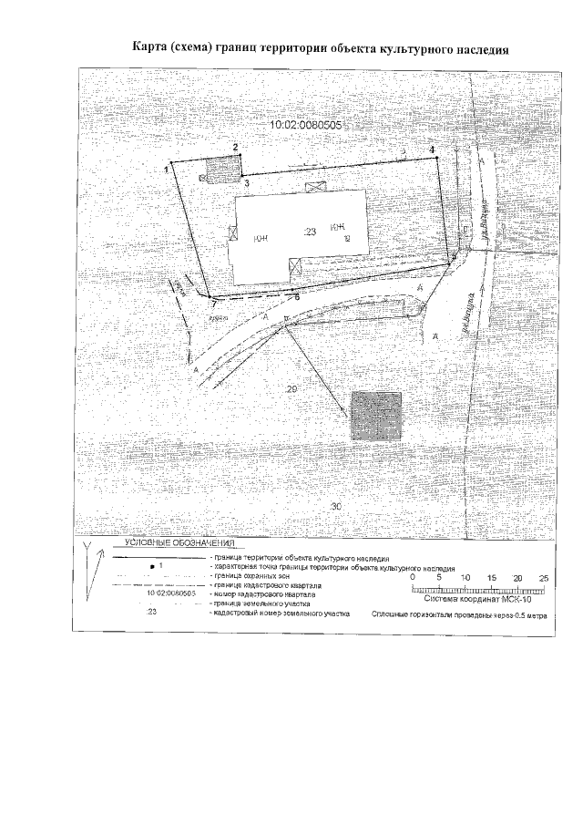
"Об утверждении границ территории объекта культурного наследия регионального значения "Здание казначейства, построенное в XVIII в. – первое кирпичное здание города", XVIII в., расположенного по адресу: Республика Карелия, Кемский район, г. Кемь, ул. Вицупа, д. 12"
"Об утверждении границ территории объекта культурного наследия регионального значения "Здание казначейства, построенное в XVIII в. – первое кирпичное здание города", XVIII в., расположенного по адресу: Республика Карелия, Кемский район, г. Кемь, ул. Вицупа, д. 12"
Номер опубликования: 1001202105200021
Дата опубликования:
20.05.2021
