Официальное опубликование правовых актов
ОФИЦИАЛЬНОЕ ОПУБЛИКОВАНИЕ
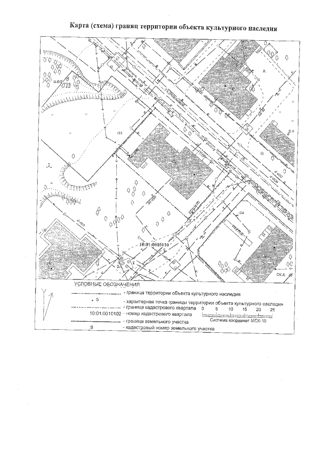
Приказ Управления по охране объектов культурного наследия Республики Карелия от 17.05.2021 № 343
"Об утверждении границ территории объекта культурного наследия регионального значения "Здание бывшей земской больницы", расположенного по адресу: Республика Карелия, г. Петрозаводск, ул. Федосовой, д. 15"
Номер опубликования: 1001202105200007
Дата опубликования: 20.05.2021
Страница №4 из 4:
Увеличить