Приказ Управления по охране объектов культурного наследия Республики Карелия от 17.05.2021 № 334
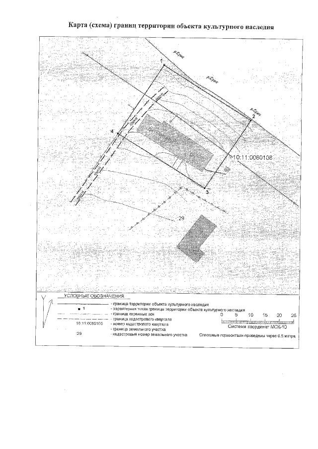
"Об утверждении границ территории объекта культурного наследия регионального значения "Амбар (деревянный)", 1757 г., расположенного по адресу: Республика Карелия, Беломорский район, село Сумский Посад"
"Об утверждении границ территории объекта культурного наследия регионального значения "Амбар (деревянный)", 1757 г., расположенного по адресу: Республика Карелия, Беломорский район, село Сумский Посад"
Номер опубликования: 1001202105200006
Дата опубликования:
20.05.2021
