Приказ Управления по охране объектов культурного наследия Республики Карелия от 06.04.2021 № 245
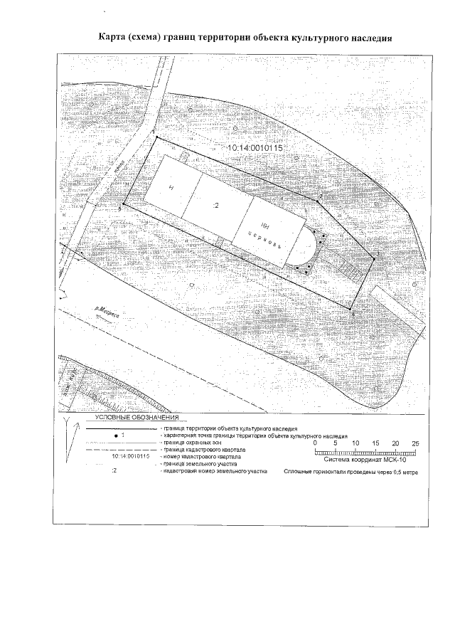
"Об утверждении границ территории объекта культурного наследия регионального значения "Церковь Смоленской иконы Божией Матери", 1828 г., расположенного по адресу: Республика Карелия, Олонецкий национальный муниципальный район, г. Олонец"
"Об утверждении границ территории объекта культурного наследия регионального значения "Церковь Смоленской иконы Божией Матери", 1828 г., расположенного по адресу: Республика Карелия, Олонецкий национальный муниципальный район, г. Олонец"
Номер опубликования: 1001202104070013
Дата опубликования:
07.04.2021
