Приказ Управления по охране объектов культурного наследия Республики Карелия от 06.04.2021 № 248
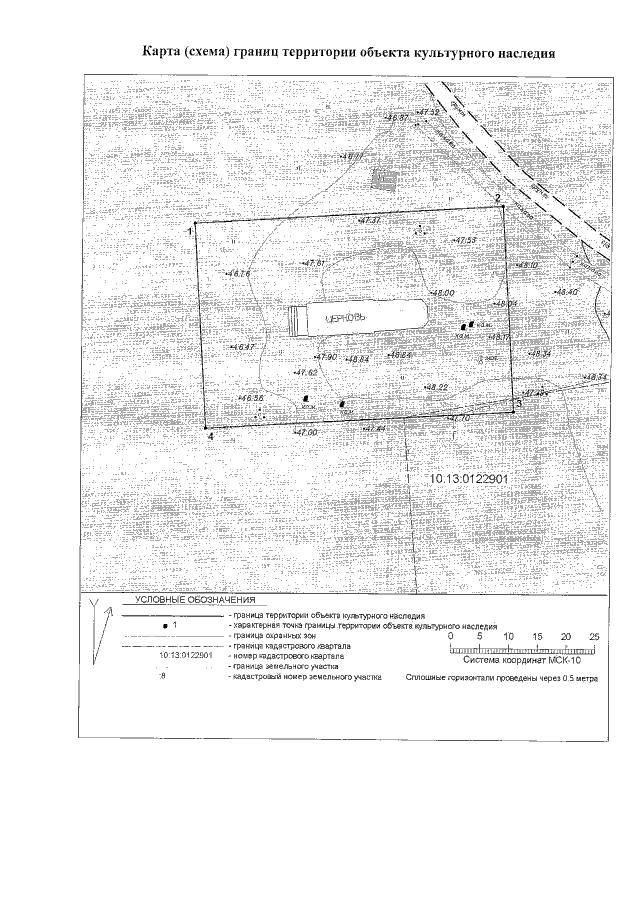
"Об утверждении границ территории объекта культурного наследия регионального значения "Церковь Параскевы Пятницы (деревянная)", 1831 г., расположенного по адресу: Республика Карелия, Медвежьегорский район, д. Онежены"
"Об утверждении границ территории объекта культурного наследия регионального значения "Церковь Параскевы Пятницы (деревянная)", 1831 г., расположенного по адресу: Республика Карелия, Медвежьегорский район, д. Онежены"
Номер опубликования: 1001202104070012
Дата опубликования:
07.04.2021
