Официальное опубликование правовых актов
ОФИЦИАЛЬНОЕ ОПУБЛИКОВАНИЕ
Приказ Управления по охране объектов культурного наследия Республики Карелия от 06.04.2021 № 243
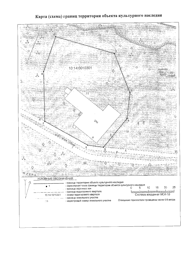
"Об утверждении границ территории объекта культурного наследия регионального значения "Дом, в котором в 1941 г. был сформирован Олонецкий истребительный батальон", 1941 г., расположенного по адресу: Республика Карелия, Олонецкий район, г. Олонец, ул. 30–летия Победы, д. 8"
Номер опубликования: 1001202104070010
Дата опубликования: 07.04.2021
Страница №4 из 4:
Увеличить