Официальное опубликование правовых актов
ОФИЦИАЛЬНОЕ ОПУБЛИКОВАНИЕ
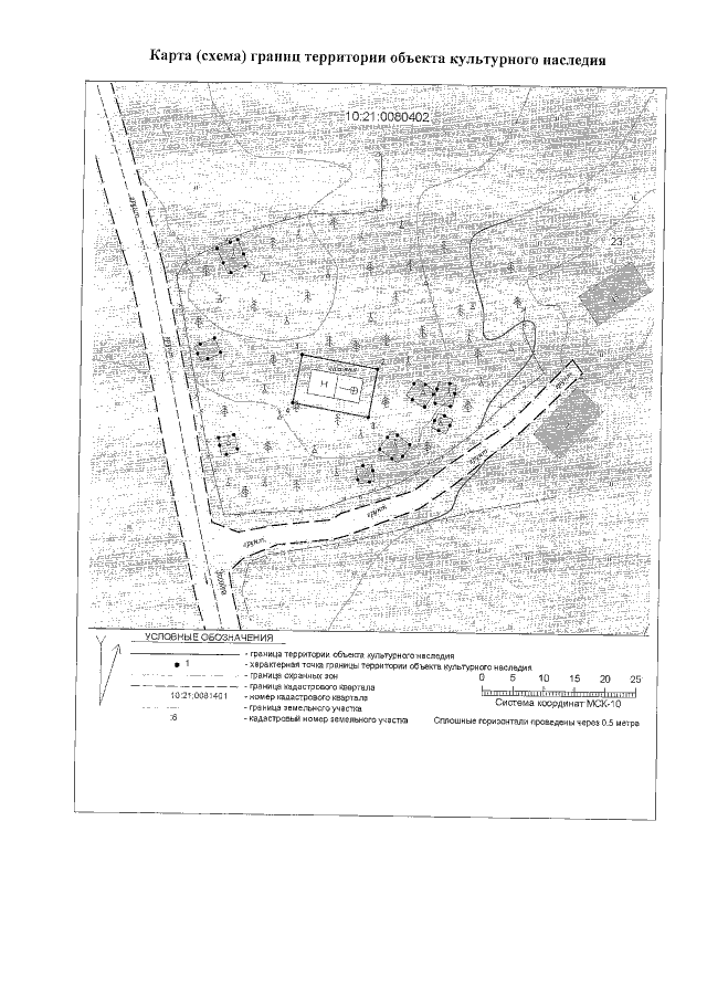
Приказ Управления по охране объектов культурного наследия Республики Карелия от 06.04.2021 № 246
"Об утверждении границ территории объекта культурного наследия регионального значения "Часовня", 2–я пол. XVIII в., расположенного по адресу: Республика Карелия, Пряжинский район, д. Сяргилахта"
Номер опубликования: 1001202104070008
Дата опубликования: 07.04.2021
Страница №4 из 4:
Увеличить