Официальное опубликование правовых актов
ОФИЦИАЛЬНОЕ ОПУБЛИКОВАНИЕ
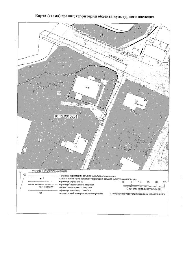
Приказ Управления по охране объектов культурного наследия Республики Карелия от 22.03.2021 № 173
"Об утверждении границ территории объекта культурного наследия регионального значения "Пансионат", начало XX века, расположенного по адресу: Республика Карелия, Лахденпохский район, г. Лахденпохья, ул. Ленина, д. 31"
Номер опубликования: 1001202103250012
Дата опубликования: 25.03.2021
Страница №4 из 4:
Увеличить