Официальное опубликование правовых актов
ОФИЦИАЛЬНОЕ ОПУБЛИКОВАНИЕ
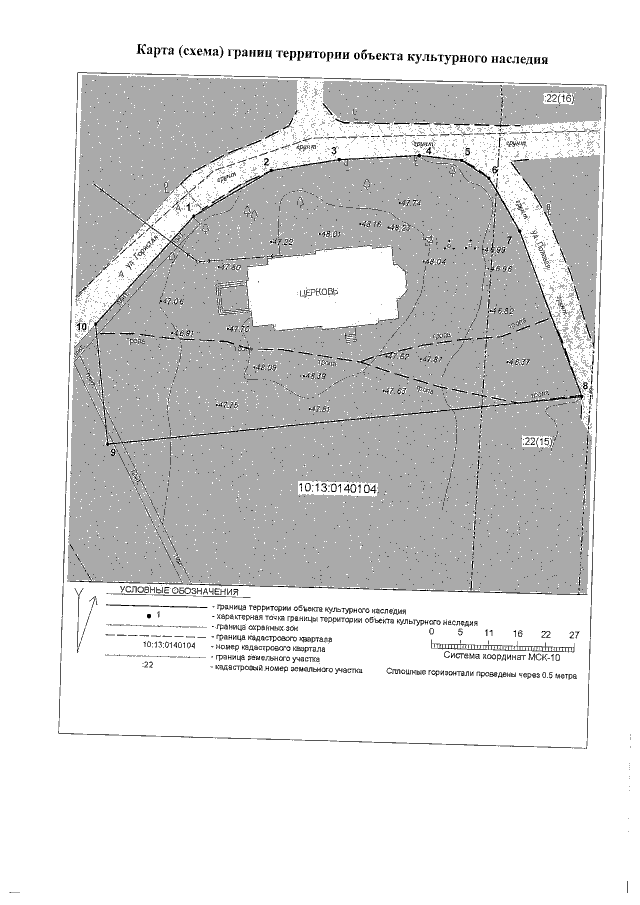
Приказ Управления по охране объектов культурного наследия Республики Карелия от 22.03.2021 № 167
"Об утверждении границ территории объекта культурного наследия регионального значения "Церковь Георгия Победоносца", II–я половина XIX в., расположенного по адресу: Республика Карелия, Медвежьегорский район, д. Толвуя, ул. Гористая, д. 9"
Номер опубликования: 1001202103250011
Дата опубликования: 25.03.2021
Страница №4 из 4:
Увеличить