Официальное опубликование правовых актов
ОФИЦИАЛЬНОЕ ОПУБЛИКОВАНИЕ
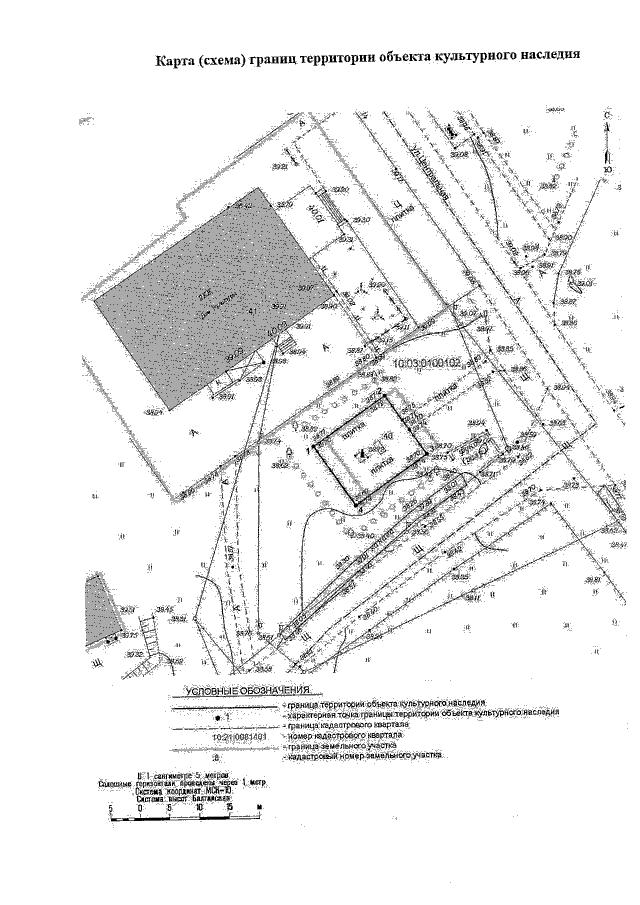
Приказ Управления по охране объектов культурного наследия Республики Карелия от 22.03.2021 № 166
"О внесении изменений в приказ Управления по охране объектов культурного наследия от 4 марта 2021 года № 109"
Номер опубликования: 1001202103230001
Дата опубликования: 23.03.2021
Страница №3 из 4:
Увеличить