Официальное опубликование правовых актов
ОФИЦИАЛЬНОЕ ОПУБЛИКОВАНИЕ
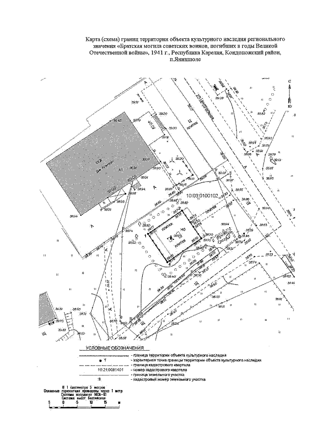
Приказ Управления по охране объектов культурного наследия Республики Карелия от 04.03.2021 № 109
"Об утверждении границ территории объекта культурного наследия регионального значения "Братская могила советских воинов, погибших в годы Великой Отечественной войны", 1941 г., Республика Карелия, Кондопожский район, п.Янишполе"
Номер опубликования: 1001202103090002
Дата опубликования: 09.03.2021
Страница №3 из 4:
Увеличить