Приказ Управления по охране объектов культурного наследия Республики Карелия от 13.11.2020 № 628
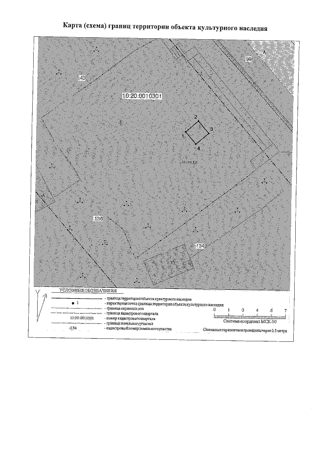
"Об утверждении границ территории объекта культурного наследия федерального значения "Могила Фортунатова Филиппа Федоровича (1848 1914), языковеда", расположенного по адресу: Республика Карелия, Прионежский район, д. Косалма"
"Об утверждении границ территории объекта культурного наследия федерального значения "Могила Фортунатова Филиппа Федоровича (1848 1914), языковеда", расположенного по адресу: Республика Карелия, Прионежский район, д. Косалма"
Номер опубликования: 1001202011160010
Дата опубликования:
16.11.2020
