Официальное опубликование правовых актов
ОФИЦИАЛЬНОЕ ОПУБЛИКОВАНИЕ
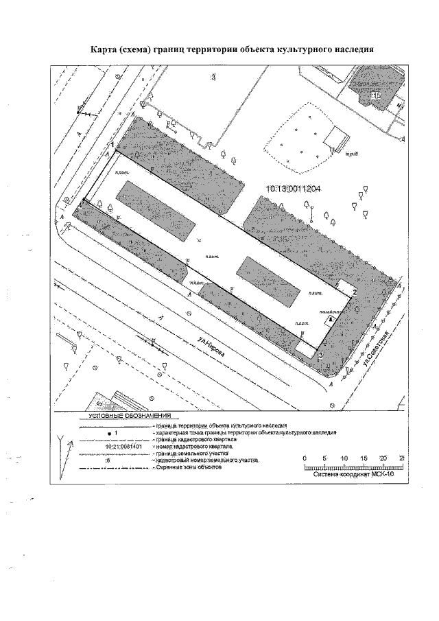
Приказ Управления по охране объектов культурного наследия Республики Карелия от 28.10.2020 № 611
"Об утверждении границ территории объекта культурного наследия регионального значения "Братская могила воинов, погибших в годы Великой Отечественной войны 1941–1945 гг.", расположенного по адресу: Республика Карелия, Медвежьегорский район, г. Медвежьегорск, ул. Кирова"
Номер опубликования: 1001202010280008
Дата опубликования: 28.10.2020
Страница №5 из 5:
Увеличить