Официальное опубликование правовых актов
ОФИЦИАЛЬНОЕ ОПУБЛИКОВАНИЕ
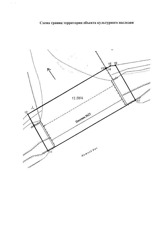
Приказ Управления по охране объектов культурного наследия Республики Карелия от 24.09.2019 № 238
"О внесении изменений в приказ Управления по охране объектов культурного наследия Республики Карелия от 30 июля 2019 года № 182 "О включении выявленного объекта культурного наследия в единый государственный реестр объектов культурного наследия (памятников истории и культуры) народов Российской Федерации, утверждении предмета охраны и утверждении границ его территории"
Номер опубликования: 1001201909290003
Дата опубликования: 29.09.2019
Страница №4 из 4:
Увеличить