Приказ Управления по охране объектов культурного наследия Республики Карелия от 22.04.2019 № 86
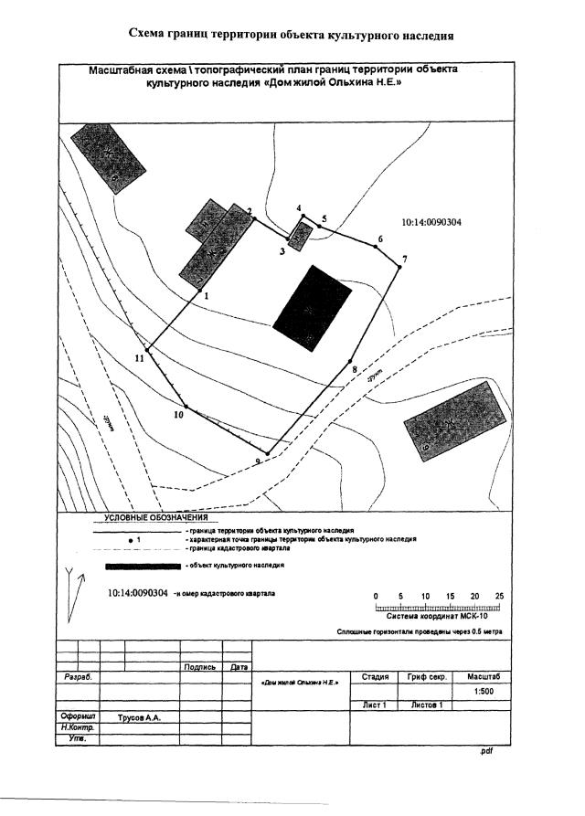
"О включении выявленного объекта культурного наследия в единый государственный реестр объектов культурного наследия (памятников истории и культуры) народов Российской Федерации, утверждении предмета охраны и утверждении границ его территории."
"О включении выявленного объекта культурного наследия в единый государственный реестр объектов культурного наследия (памятников истории и культуры) народов Российской Федерации, утверждении предмета охраны и утверждении границ его территории."
Номер опубликования: 1001201904230005
Дата опубликования:
23.04.2019
