Официальное опубликование правовых актов
ОФИЦИАЛЬНОЕ ОПУБЛИКОВАНИЕ
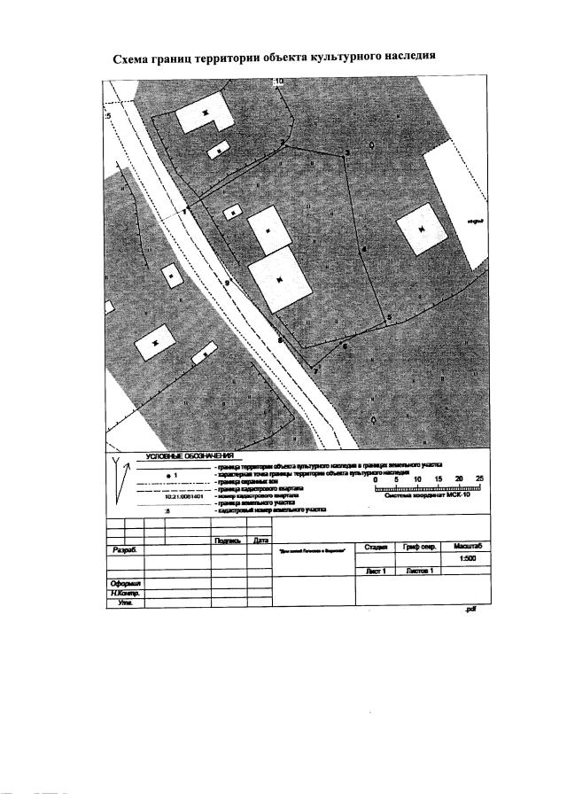
Приказ Управления по охране объектов культурного наследия Республики Карелия от 09.04.2019 № 66
"Об установлении границ территории объекта культурного наследия регионального значения "Дом жилой Гелесова и Вересова, нач. XX в.", расположенного по адресу: Республика Карелия, Медвежьегорский район, с. Космозеро, д. Артово"
Номер опубликования: 1001201904100003
Дата опубликования: 10.04.2019
Страница №5 из 5:
Увеличить