Официальное опубликование правовых актов
ОФИЦИАЛЬНОЕ ОПУБЛИКОВАНИЕ
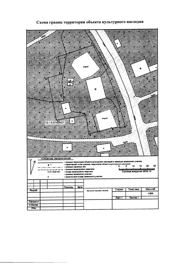
Приказ Управления по охране объектов культурного наследия Республики Карелия от 09.04.2019 № 67
"Об установлении границ территории объекта культурного наследия регионального значения "Дом Горшкова и Осиповой, кон. XIX в.", расположенного по адресу: Республика Карелия, Медвежьегорский район, с. Космозеро (д. Демидово)"
Номер опубликования: 1001201904100002
Дата опубликования: 10.04.2019
Страница №6 из 6:
Увеличить