Приказ Управления по охране объектов культурного наследия Республики Карелия от 25.03.2019 № 54
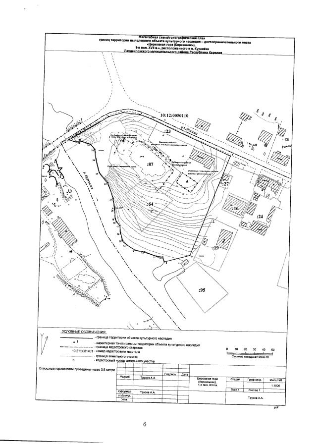
"Об установлении границ территории выявленного объекта культурного наследия (достопримечательное место) "Церковная гора (Кирккомяки)", 1-я пол. XVII в., расположенного по адресу: Республики Карелия, Лахденпохский муниципальный район, Куркиёкское сельское поселение, п. Куркиёки, в устье реки Куркийоки"
"Об установлении границ территории выявленного объекта культурного наследия (достопримечательное место) "Церковная гора (Кирккомяки)", 1-я пол. XVII в., расположенного по адресу: Республики Карелия, Лахденпохский муниципальный район, Куркиёкское сельское поселение, п. Куркиёки, в устье реки Куркийоки"
Номер опубликования: 1001201903250002
Дата опубликования:
25.03.2019
