Официальное опубликование правовых актов
ОФИЦИАЛЬНОЕ ОПУБЛИКОВАНИЕ
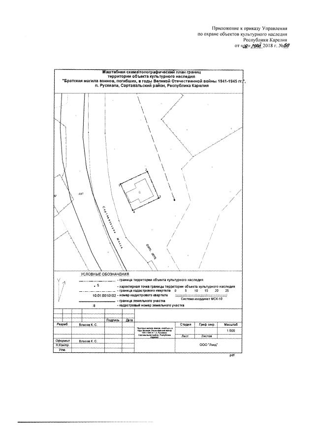
Приказ Управления по охране объектов культурного наследия Республики Карелия от 08.05.2018 № 66
"О внесении изменений в приказ Управления по охране объектов культурного наследия Республики Карелия от 22 марта 2018 года № 42 "Об установлении границ территории объекта культурного наследия регионального значения "Братская могила воинов, погибших в годы Великой Отечественной войны 1941-1945гг.", расположенного по адресу: п. Рускеала, Сортавальский муниципальный район, Республика Карелия"
Номер опубликования: 1001201805110004
Дата опубликования: 11.05.2018
Страница №2 из 2:
Увеличить