Официальное опубликование правовых актов
ОФИЦИАЛЬНОЕ ОПУБЛИКОВАНИЕ
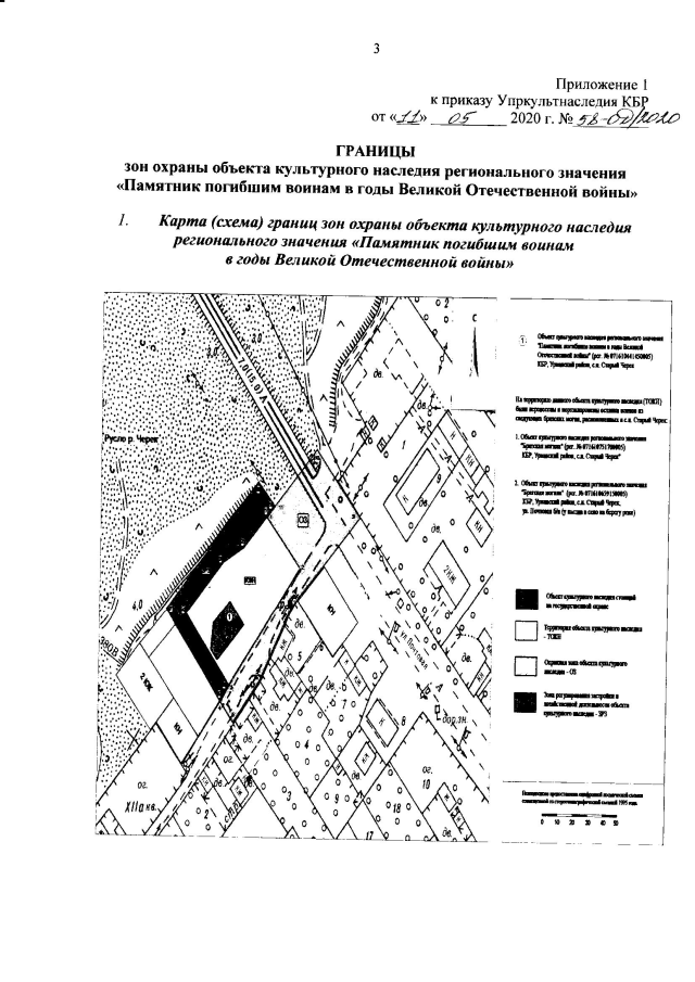
Приказ Управления по государственной охране объектов культурного наследия Кабардино-Балкарской Республики от 11.05.2020 № 58-ОД/2020
"Об установлении границ зон охраны объекта культурного наследия регионального значения "Памятник погибшим воинам в годы Великой Отечественной войны", особых режимов использования земель и требований к градостроительным регламентам в границах территорий данных зон"
Номер опубликования: 0701202005130001
Дата опубликования: 13.05.2020
Страница №3 из 11:
Увеличить