Приказ Агентства по охране культурного наследия Республики Дагестан от 18.06.2024 № 68/24-од
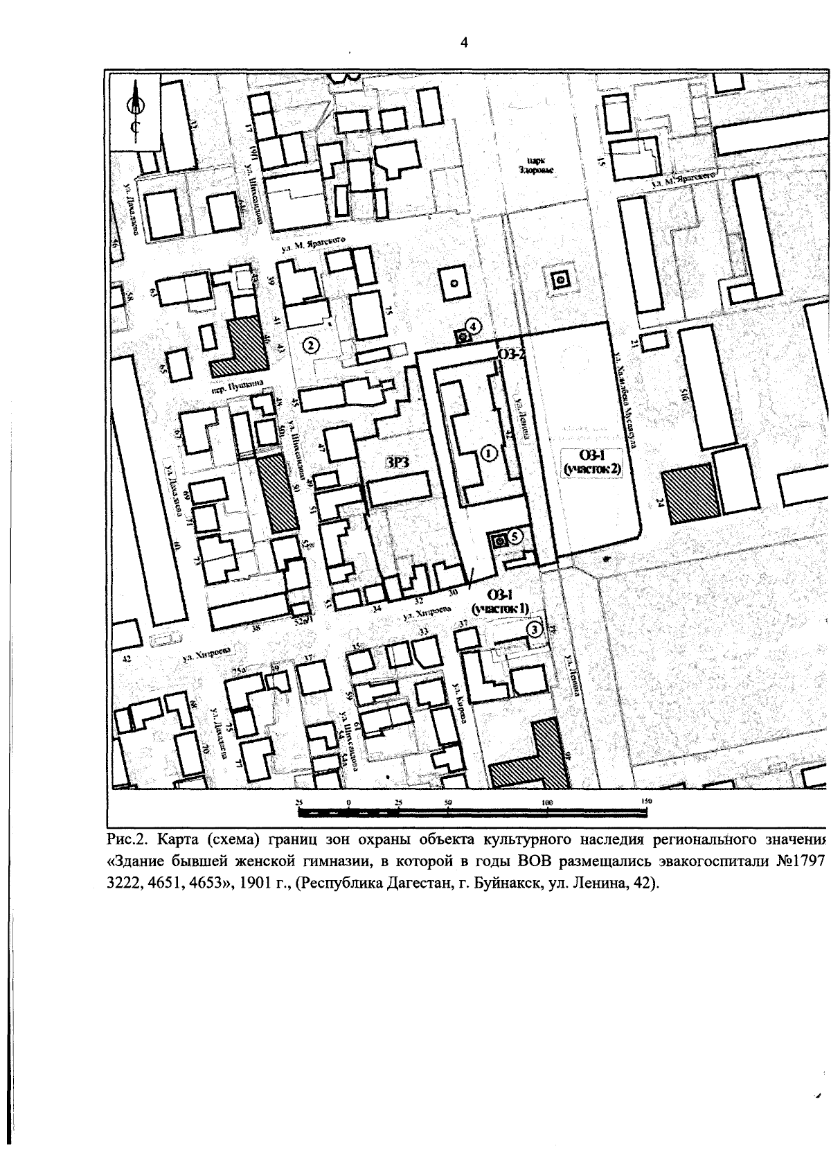
"Об утверждении границ зон охраны объекта культурного наследия регионального значения "Здание бывшей женской гимназии, в которой в годы ВОВ размещались эвакогоспитали № 1797, 3222, 4651, 4653", 1901 г., расположенного по адресу: Республика Дагестан, г. Буйнакск, ул. Ленина, 42 и Требований к градостроительным регламентам в границах данных зон"
(Зарегистрирован 05.07.2024 № 7160)
"Об утверждении границ зон охраны объекта культурного наследия регионального значения "Здание бывшей женской гимназии, в которой в годы ВОВ размещались эвакогоспитали № 1797, 3222, 4651, 4653", 1901 г., расположенного по адресу: Республика Дагестан, г. Буйнакск, ул. Ленина, 42 и Требований к градостроительным регламентам в границах данных зон"
(Зарегистрирован 05.07.2024 № 7160)
Номер опубликования: 0501202407090003
Дата опубликования:
09.07.2024
