Официальное опубликование правовых актов
ОФИЦИАЛЬНОЕ ОПУБЛИКОВАНИЕ
Приказ Агентства по охране культурного наследия Республики Дагестан от 04.06.2024 № 60/24-од
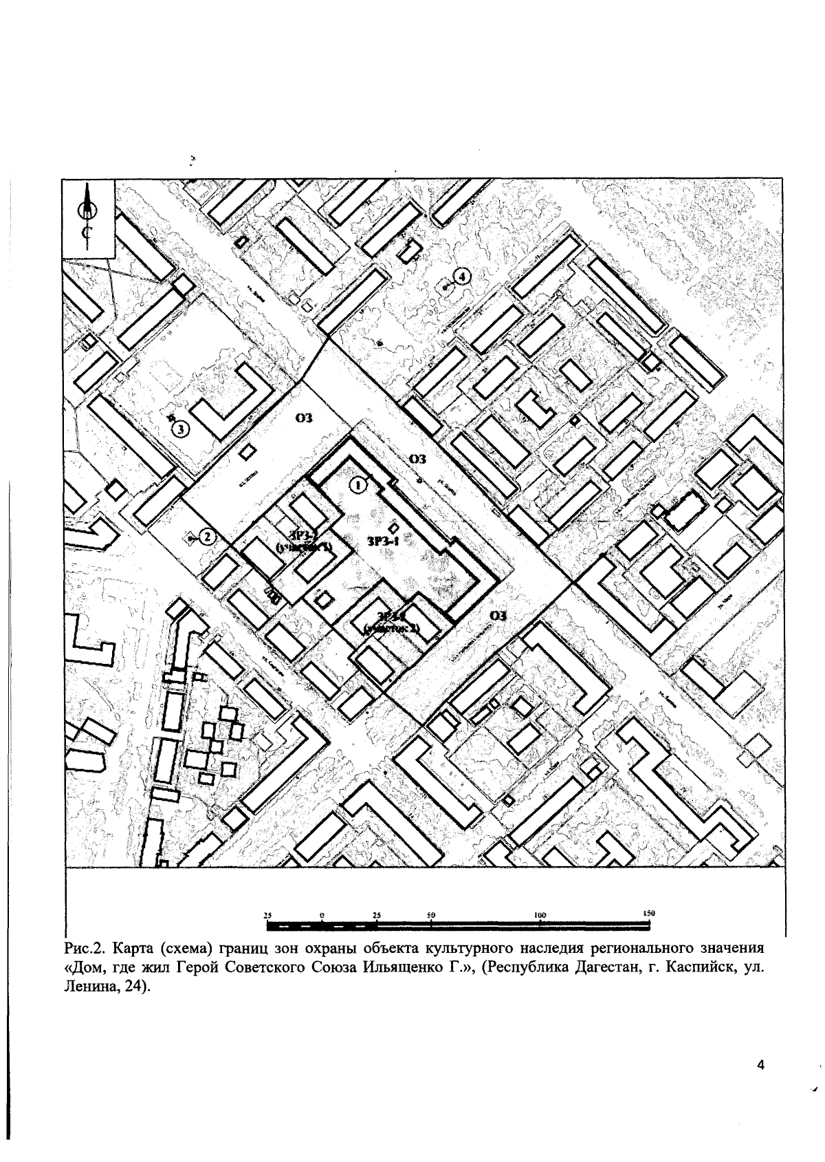
"Об утверждении границ зон охраны объекта культурного наследия регионального значения "Дом, где жил Герой Советского Союза Ильяшенко Г.", расположенного по адресу: Республика Дагестан, г. Каспийск, ул. Ленина, 24 и Требований к градостроительным регламентам в границах данных зон"
(Зарегистрирован 02.07.2024 № 7153)
Номер опубликования: 0501202407050003
Дата опубликования: 05.07.2024
Страница №4 из 21:
Увеличить