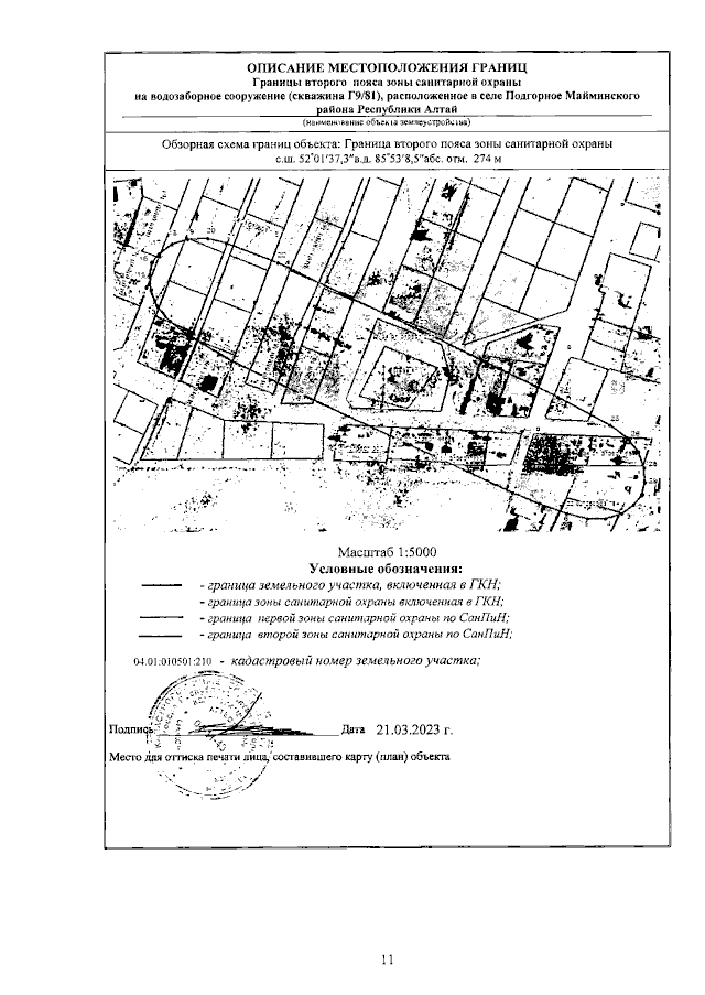
Приказ Министерства природных ресурсов и экологии Республики Алтай от 28.06.2023 № 376
"Об установлении зоны санитарной охраны на водозаборное сооружение в с. Подгорное, пер. Весенний, 7, Майминский район, Республика Алтай (скважина Г 9/81)"
"Об установлении зоны санитарной охраны на водозаборное сооружение в с. Подгорное, пер. Весенний, 7, Майминский район, Республика Алтай (скважина Г 9/81)"
Номер опубликования: 0401202306280001
Дата опубликования:
28.06.2023
